フリタン荘談話室
フリタン荘談話室
(\(^-^)/)カーテンシャー!
【\(^ω^)/】雨戸をガラガラ!
と早朝から夜更かしの方まで、沢山の人がフリタン荘で楽しく暮らしています。
フリタン荘の皆さんの談話室として使って頂けたら幸いです。
< フリタン荘 キリ番 >は、こちらの掲示板に移動しました。
https://king.mineo.jp/my/LGK809/reports/21122
第1回王国イベント「mineo Green Party」
https://king.mineo.jp/magazines/special/705
お一人お一人のことを思い、伝えたい気持ち(感謝)を直筆でメッセージに込めました。
24492 件のコメント
コメントするには、ログインまたはメンバー登録(無料)が必要です。



毎日たくさんのINコメが出来るように〜〜
5時半に目覚ましをかけるのは、6時までがマイネ王の時間にしているからです。
6時に目覚ましかけたら、二度寝できないし、マイネ王の時間もありません。(^▽^笑)
夜は早く寝るように・・・気持ちだけで実行されていませんが・・・
(;^_^A あせあせ
トラ子ぉぉ ━━!!
さぁ食べるかって思って、台所に下りてきたとこだったのに!
(つ_・、) クスン...
キーマカレーサンド!
ご馳走さまです♫
残り物タンクが空っぽだったのでよかった〜〜(^▽^笑)
(;゜∀゜)
🐅トラ子ちゃん来てたのね〜〜♪
ララちゃんまで・・・
安心してください!トラ子を止めたので、手をつけずにちゃんとあります!!だいじょぶ!
私も仕事が落ち着いたので、コメント入れてます。
午後から忙しくなります。
そこで、フリタン荘では…
食べながら読むのを禁止します(・∀・)
わらわらと沸いてくる住人たちw
٩( ᐛ )و
遅かったか〜〜〜〜✧︎*。( ´∩︎•͈ω•͈∩︎` )✧︎*。

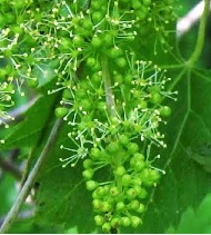
junmamaさん写真は撮ってなかったので、ネットで探してみましたが
こんな感じです。
ブドウの房の形で、先の方から花が咲いて、小さい実になって
順に咲いていきます。
風で受粉できるようで、ほぼ実になります。
一時期は200ぐらいの房があって、間引いて100位収穫できて
近所にも配れるくらいでしたが、大きな枝が何本か元から枯れてしまって
今は60房ぐらいでしょうか。
巨峰みたいな品種で美味しいブドウなんで、収穫時に写真撮ってみますね。
ありがとうございますヾ(❀╹◡╹)ノ゙❀♪
すご〜〜い〜〜
フリータンクのOUTのコメントフォームをスクリプトでコピペ不可にするってことは可能ですかね?
パスワード入力欄でコピペできないのとかありますよね。あれみたいなやつです。
それができれば、いかにもコピペって感じの同じコメが続くのをなんとかできるかもって、ふと思ったのですが。

皆さんに書き込みペースが速いので、早くも1400を超えて次もキリ番1500が近づきました!
食べたい♪
食べ者リレーε=(ノ・∀・)ツ
みたいね。笑
いしはらさん〜
いつ寝てるんですか〜♪
スクショありがとうございます。
WEBのページの入力領域で、コピー&ペーストを禁止して
必ずテキスト入力しなかればいけないようには指定でします。
良く、パスワードやメールアドレスの確認用などで
入力する場合に使わられていますね。
アイデアファームネタですか?
ありがとうございます!
可能なのですね。
ついでにOUTコメの強制もやめたらって提案しようかと。
そしたら「ああああああ」とかの不快なコメもなくなるのではと思いまして。
あそこ、怖いから・・・、まだ検討中ですがw
最近は、アイデアファームは意味ないような気がしてます。
以前は、マイネ王の機能や見た目など改善するに値する案がありましたね。
Happyメーターが伸びなくなるでしょうね。

pingo!以来、こちらはすっかりご無沙汰しておりました。その節は大変お世話になりました。
今も別のところではお世話になっていますね。w
ナイス付けながらチョット駆け足で遡ってきました。
>すてこさん
ぴちょんくんでもちろん構いませんよ。逆にすてこさんは何て呼んだらいいのでしょうか。あぁ、すてこさん以外ないか…。w
pingo!
次回の期待もあるようですが、ゴメンなさい!
今のところ、はっきりは何も言えません。
ただ、またやるときは、まずこちらに一声かけますので、そのときはどうぞよろしくお願いいたします。
みなさんのように上手に写真が撮れませんが、我が家のつるバラが今年はいつになく花数多く咲きました。
GW明けから外装工事が始まる予定で、今年は花時期が足場で囲われてしまうはずでしたが、工期の遅れで観ることができました。良かったです。
猫よりも小さいネズミの額ほどの空き地に、我が家もキュウリ、ゴーヤ等を数本ずつ植えますが、今年は工事もあり、植え付けベストシーズンを逃してしまいそうです。😿
ではまた、忘れた頃に!
強制するから、読むに値しないレベルのコメントで溢れるのよ。。。
OUTコメの必須がマイネ王をHAPPYにしているとは思えない。
OUTする人もコメントが任意になれば、気兼ねなく利用できて心のHAPPYが増すでしょう。HAPPYメーターは上がらなくてもね(^_-)☆
Σ(⊙_⊙)!!
トマトの花は呼び寄せ作戦だったのね?
ボケるべきか迷ったけれど、トマト好きとしては我慢ならず答えちゃったよ(笑)。
正解チップありがとうございました<(_ _)>
ウチのトマトは、毎年「イタリアンレッド」です🍅生トマトを家族が食べてくれないので、加熱用のトマトを作っています。パスタに使うと味わい深くて生食用以上に美味しいんです。来夏はフルーティーな中玉に加え、これも是非!
バラが素敵~♡丶(*'▽'*)ノ
外壁の工事をこの時期にすると、野菜や花が育てられないのよね。
だから、我が家は秋にする予定です。
施工業者には2週間くらいなんだから、5月でもいいんじゃない?と提案されましたが、野菜や花にはこの時期の日光は大切なので延期しました( •̀∀•́ )b
あっ、ちょっと待って~
はい、お土産( ・∀・)つ🍅
忘れる前にまたいらしてね(*^▽^*)
HAPPY METER のこと忘れてた。
うーん・・・
ピコーン(゜∀゜)!!
コメなし用の定型文を
(ありがとうコメントはありません)
にする。これでコメントなしでもメーターがアップ!?
運営もOUT民もともにHAPPY!!
そんなときは、満里奈の毎日プランターよ!
加熱用のトマト、家庭菜園で作れるのですね。
「イタリアンレッド」と言うのですね。
φ(・_・*) メモメモ
イタリアとかで見かける縦長のやつかなぁ。
実は私も生トマトは食さないのです。
でもトマトソースは好きなので。
パスタやオムライス、その他トマト味に煮込み料理など
沢山使うので、安いと爆買いしますね。
(;゜∀゜) 🌹つる薔薇
上品な品種ですね。
なんか上品なトマト🍅の話題になってますわね。
私も🍅 は大好きです。
色んなトマト買います、気に入れば箱買い。
トマトは夏バテての時には必需品。
冷蔵庫では味が薄くなるので、入れない方が良いです。
でも真夏は体の熱を取る為に、何個か冷やして、そのまま食べるか、サラダや、冷やし中華の具に。
私はトマトの皮は取ります、加熱しオクラ、ブロッコリー、しらす、ワカメ、お豆腐などをドレッシングで食べたり。
🍅トマトは、ミネストローネにも使いますね。
トマトが赤くなれば医者が青くなる。
と言われるほどリコピンは体に良いね♪
すてこさんって呼ばれることが多いですが、すてこちゃんって呼んでくださる方もいますし…あ、あと、ステテコって呼ぶ方もw
電気屋さんに行くと会えるけど、フリタン荘に来てくださいね〜⸜( ´ ꒳ ` )⸝♡︎
↑good idea♪ (o^-')b
これでみんなが「HAPPY\(^o^)/」ですね。
Piroschkaさま、これはアイデアファームへ!!
そうです、イタリアンレッドは縦長の🍅です。
湯むきして種も取り、ジップロック袋に入れて冷凍しています。
缶のホールトマトやカットトマトも保存が利いて便利ですよね。自家製より少し酸味が強いせいか、家族には不評です(^-^;)
ララちゃんオススメのミネストローネも私は大好きです(*^-^*)
しかし、トマト嫌いな家族が「ミネストローネは罰ゲームだ」って言うんです~(-_-;)
ステテコちゃん(≧∀≦)
かわいいようでかわいくないようで、やっぱりカワイイから、私はステテコちゃんとお呼びしちゃお~(*´︶`*)

今日は楽しかったよ~(*'▽'*)皆さんありがとう♡
先ほど焼いたバナナシナモンマフィンを1階の台所に置いておきますので、どうぞお召し上がりください。
お好きなように呼んでください⸜( ´ ꒳ ` )⸝♡︎みなさんも⸜( ´ ꒳ ` )⸝♡︎
バナナシナモンマフィン美味しそう‧˚₊*̥(∗︎*⁰͈꒨⁰͈)‧˚₊*̥ありがとうございますっ
\(゜ロ\)(/ロ゜)/ありゃまあ〜♪
私の大好物の😍バナナシナモンマフィン🍌
RIOさんから又❗差し入れ😍台所に置いてあるぞ♪
🐅トラ子ちゃん🎅サンタさんとトナカイ🦌で帰ったし🎵←そんなバナナ
7階のお部屋で。。(〃_ _)σ∥🍰←マフィン
いただきま〜〜す
(⌒🍰⌒)←一口かぃな
夕飯食べたばっかりだから、後で食べよ~。
トラ子に取られないうちに・・・
だんけ、RIOさん!
(´∀`)ノ
~管理人さんの雨戸開けからスタート~
https://king.mineo.jp/freetank/647828/comments/403041
https://king.mineo.jp/freetank/647677/comments/402906
https://king.mineo.jp/freetank/647667/comments/402898
https://king.mineo.jp/freetank/647520/comments/402764
https://king.mineo.jp/freetank/647513/comments/402757
https://king.mineo.jp/freetank/647512/comments/402756
https://king.mineo.jp/freetank/647498/comments/402743
https://king.mineo.jp/freetank/647488/comments/402735
https://king.mineo.jp/freetank/647487/comments/402734
https://king.mineo.jp/freetank/647484/comments/402732
https://king.mineo.jp/freetank/647462/comments/402712
https://king.mineo.jp/freetank/647461/comments/402711
https://king.mineo.jp/freetank/647442/comments/402694
https://king.mineo.jp/freetank/647437/comments/402690
https://king.mineo.jp/freetank/647428/comments/402681
~ララちゃんのおはよう挨拶からスタート~
https://king.mineo.jp/freetank/648558/comments/403674
https://king.mineo.jp/freetank/648162/comments/403343
https://king.mineo.jp/freetank/648152/comments/403334
https://king.mineo.jp/freetank/648130/comments/403314
https://king.mineo.jp/freetank/648127/comments/403312
https://king.mineo.jp/freetank/648125/comments/403310
https://king.mineo.jp/freetank/648104/comments/403293
https://king.mineo.jp/freetank/648103/comments/403292
https://king.mineo.jp/freetank/648101/comments/403290
https://king.mineo.jp/freetank/648098/comments/403287
https://king.mineo.jp/freetank/648087/comments/403277
https://king.mineo.jp/freetank/648079/comments/403271
https://king.mineo.jp/freetank/648077/comments/403269
https://king.mineo.jp/freetank/648068/comments/403262
https://king.mineo.jp/freetank/648062/comments/403256
https://king.mineo.jp/freetank/647999/comments/403195
https://king.mineo.jp/freetank/647853/comments/403064
つるバラ綺麗に咲きましたね〜〜ヾ(❀╹◡╹)ノ゙❀♪
ぴちょんくんのお宅でも野菜を植えているんですね。
来年に期待!かな?
また来てくださいね〜〜(^^)/~~~
Σ(゚д゚lll)バレた〜〜?
もっと早く載せようと思ったのですが、あちこちでイベントやってて、こっちは静かだったから時期を見計らっていました。
ウチはトマトは生食のみなんです。
私自身が火を通して食べるのが嫌いで!
和食中心の食事なので〜〜(^▽^笑)
W(▼O▼)Wオオ~~!!オ~~!!
RIOさん手作りのバナナシナモンマフィン〜〜
美味しそう〜〜(@ ̄¬ ̄@)ジュルリ♪
遠慮なくいただきま〜〜す♫
夕食後だけど、別腹だから大丈夫!
85階からトラ子がサンタと一緒に降りてこないうちに・・・(^▽^笑)
今回はトラ子の分もありそうですね。
ごちそうさまです。
しかし、今日は談話室、大賑わいで!
楽しんでいただいて良かった♫
また顔を出してくださいね。
(・◇・)/~~~
https://king.mineo.jp/freetank/649697/comments/404670
~ララちゃんのおはよう挨拶からスタート~
https://king.mineo.jp/my/LGK809/reports/17404/comments/455072
~管理人さんの雨戸開けからスタート~
https://king.mineo.jp/my/LGK809/reports/17404/comments/455070

2017/05/26 スクショ 1/2時系列は古い方から昇順です。

2017/05/26 スクショ 2/2時系列は古い方から昇順です。
[運営チップ累計: 113,150MB]
20万台突破予定日(推定): 2017/11/24
5月31日(木) 20:00 ~ 24:00 (予定)
フリータンク予想レースの参加者の方
予想の変更を検討しておいた方がいいかもしれませんね。
ちなみに、予想締切りは05/28 23:59 ですよ。
でもまだ押さない(^▽^笑)
「やった、1番だ!」って思ったけど
もしかして、junmamaさんの方が先かも。
(・◡・) キリッ!
5ばーん!!